Loại tin
Loại nhà đất
Tên
Mã ID
Tỉnh/Thành
Quận/Huyện
Phường
Hướng
Diện tích
Mức giá
Loại tin
Loại nhà đất
Tỉnh/Thành
Quận/Huyện
Phường
Hướng
Diện tích
Mức giá

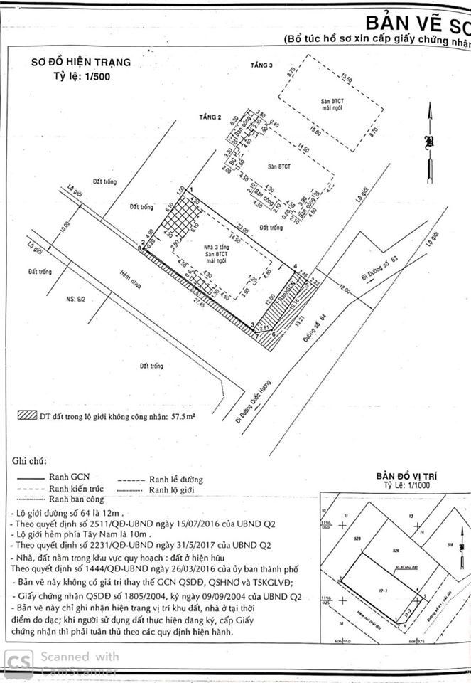
Bán biệt thự góc hai mặt tiền đường 64 Thảo Điền

ID : 1084

  • Long description image 1
  • Long description image 1

Bán căn biệt thự góc hai mặt tiền Đường 64 Thảo Điền Quận 2. Vị trí gần chung cư Tropic Garden Novaland, trường Quốc tế BIS, AIS, ISHCMC.

Biệt thự Thảo Điền có diện tích 362m2 (13.2m x 27.5m) sổ hồng công nhận: 305m2.

Hiện trạng biệt thự Thảo Điền Quận 2 góc hai mặt tiền gồm: Trệt + 2 lầu nhà cũ tiện đập xây mới hay sửa chữa. Hướng Đông Nam.

Biệt thự góc 2 mặt tiền đường 64 Thảo Điền bán giá 35 tỷ TL nhanh cho khách thiện chí.

BIỆT THỰ THẢO ĐIỀN

BIỆT THỰ RIVIERA

ĐẤT THẢO ĐIỀN

ĐẶT LỊCH XEM ĐẤT LIÊN HỆ

Hotline Mr Tuân 0901855999 ( Zalo - Viber - Whatsapp)

Email: nguyentuan6868@gmail.com

biet thu thao dien quan 2bán biệt thự thảo điền quận 2

 

 

Bản đồ
Bất động sản cùng chuyên mục
Dự án khác
1
Bạn cần hỗ trợ?